13:45 (UTC+5), 17 Мая 2021

В заповеднике в Зауралье обнаружены огромные погребальные некрополи

ИА «Башинформ»
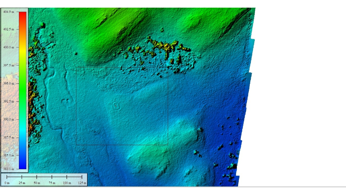
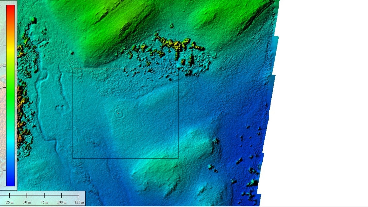
Огромные по количеству курганов погребальные некрополи, о существовании которых археологи не догадывались, обнаружены дистанционным методом на территории Историко-археологического, ландшафтного музея-заповедника «Ирендык» в Баймакском районе. Как сообщили «Башинформу» в Научно-производственном центре по охране и использованию недвижимых объектов культурного наследия республики, находки сделаны в результате обработки сложнейшего и огромного массива данных, полученных в ходе оцифровки историко-культурных пространств.
Исследование территории заповедника при помощи аэрофотосъемки было проведено в октябре прошлого года. Сейчас идет поэтапная обработка собранных материалов, и работа только достигла своего экватора. Для археологической науки подобный проект изучения является новым и необычным, поскольку почти на всех этапах он цифровой. Проект преследует задачи мониторинга, инвентаризации, научного изучения и раскрытия культурного потенциала башкирского Зауралья.
Камеральные работы, продолжавшиеся почти два месяца, завершены. Обработан большой массив данных по территории заповедника. В результате на площади более 60 тысяч гектаров выявлено 459 объектов, обладающих признаками объектов культурного наследия.
По словам руководителя проекта, заведующего филиала НПЦ – музея-заповедника «Ирендык» Рамиля Насретдинова, такая плотность памятников уникальна и аномальна в масштабах всей Российской Федерации. Например, природный архитектурно-археологический музей-заповедник «Дивногорье» при площади 1100 га включает в себя 7 памятников, Билярский государственный историко-археологический и природный музей-заповедник при площади 2477 га – 12 памятников, а известный всем «Аркаим» с 3761 га – 70 памятников. Башкирский «Ирендык» – самый крупный в России не только по площади, но и по количеству памятников. Площадь заповедника составляет 25 тыс. га. Согласно последним данным, дистанционно выявленные памятники вышли за пределы заповедника.
«В ходе археологических полевых работ, возможно, небольшая доля объектов будет исключена из общей выборки. Поскольку уже ранее проводили аналогичные работы на менее крупных объектах, можем с уверенностью говорить о точном обнаружении и идентификации дистанционным методом до 400 памятников археологии, – отмечает Рамиль Насретдинов. – Среди обнаруженных объектов преобладают древние некрополи – земляные и каменные курганы высотой до 2 м и в диаметре до 30 м. Самый крупный могильник содержит до 20 курганов. В них древнее население совершало погребения, начиная от эпохи бронзы и заканчивая средневековьем. Вызывает интерес архитектура ряда памятников даже у археологов с большим опытом. Особое расположение курганов в группе, образующих определенную систему, судя по всему, выражали некую смысловую нагрузку. Среди них курганы, вытянутые в цепочку или образующие в плане круг и исходящие от нее луч курганов в линию», – поясняет руководитель проекта.
Также найдены жертвенно-поминальные, погребальные объекты, ранее не встречавшиеся археологам, которые отличаются кольцевой структурой, округлой и овальной формой. Это каменные и земляные объекты в виде замкнутых валов и рвов длиной от 10 до 18 м.
Объекты аналогичной кольцевой структуры, но с точками входа и размерами от 5 до 8 м в диаметре, специалисты НПЦ предварительно идентифицируют как юрты кочевников и объекты этнографического времени.
Кроме них, есть еще и поселенческие объекты, среди которых – укрепленные поселения Улак и Селек, идентифицируемые в археологической науке с носителями синташтинской археологической культуры (Аркаим). На них обнаружены весьма интересные детали, которые ранее никак не фиксировались археологами. Другие поселения обнаружены дистанционно по остаткам руинированных жилищ. Их не так много, так как большая часть из них не выражена на поверхности и не фиксируется.
«Среди обнаруженных с воздуха объектов есть уже известные памятники. Мы не только зафиксировали известный потенциал территории, но и существенно дополнили новыми памятниками ту базу данных, которая собиралась с середины XX века. Только нам это удалось сделать за рекордно короткие сроки, буквально за шесть месяцев. Раньше, чтобы обнаружить памятники, необходимо было обойти пешком огромную территорию. Сейчас же достаточно запустить беспилотный летательный аппарат, который соберет необходимые данные за пару часов. Нами обнаруживаются и те объекты, которые практически не выражены на местности ввиду распашки или высокой растительности», – говорит Рамиль Насретдинов.
Следующий этап – проведение археологических полевых работ. Их цель – подтвердить наличие объектов, выявленных дистанционно. Ставится задача составить их описание и произвести фотофиксацию.
1 из 8
Ранее полевая часть работ считалась самой сложной и объемной. Сейчас благодаря оцифровке подавляющая часть объема информации собирается бесконтактно, в цифровом виде. В работе археологи все реже используют средства наземной и спутниковой геодезии и больше полагаются на дистанционные средства оцифровки местности. Благодаря этому для зафиксированных памятников границы будут выделены одномоментно. Необходимые координаты и данные по топографическим условиям были уже собраны с воздуха (с беспилотного летательного аппарата) в ходе оцифровки.
Проект не имеет аналогов по масштабам и значимости. Решается широкий круг задач государственной охраны объектов культурного наследия, среди которых: инвентаризация объектного состава заповедника, мониторинг современного состояния памятников и объективный контроль территории, установление объективных границ, топографо-геодезические работы. Таким образом, можно говорить о смене стратегии государственной охраны объектов культурного наследия, пояснили в НПЦ.
Присоединяйтесь — больше и быстрее в наших соцсетях:
© 1992-2026 АО ИА «Башинформ».
www.bashinform.ru

© 1992-2026 АО ИА «Башинформ».

www.bashinform.ru

Сетевое издание «Информационное агентство «Башинформ» зарегистрировано в Федеральной службе по надзору в сфере связи, информационных технологий и массовых коммуникаций (Роскомнадзор), регистрационный номер Эл № ФС77-88040

Учредитель Акционерное общество "Информационное агентство "Башинформ"

Главный редактор Шарафутдинов Руслан Михайлович

При перепечатке или цитировании ссылка на ИА «Башинформ» обязательна. Для интернет-изданий и социальных сетей прямая активная гиперссылка обязательна. Использование логотипа ИА «Башинформ» в целях, не связанных с ссылкой на агентство при перепечатке или цитировании, допускается только с письменного разрешения АО ИА «Башинформ».

Об использовании персональных данных

Правила применения рекомендательных технологий

Вся информация и материалы, размещенные на сайте www.bashinform.ru защищены международным и российским законодательством об авторском праве и смежных правах. 18+ запрещено для детей.

Яндекс.МетрикаTop.Mail.Ru